L’uragano, categoria 5, è peggio di Katrina. Gia 18 vittime nei Caraibi. Evacuazioni di massa anche a Cuba. Starlink in aiuto alle aree isolate
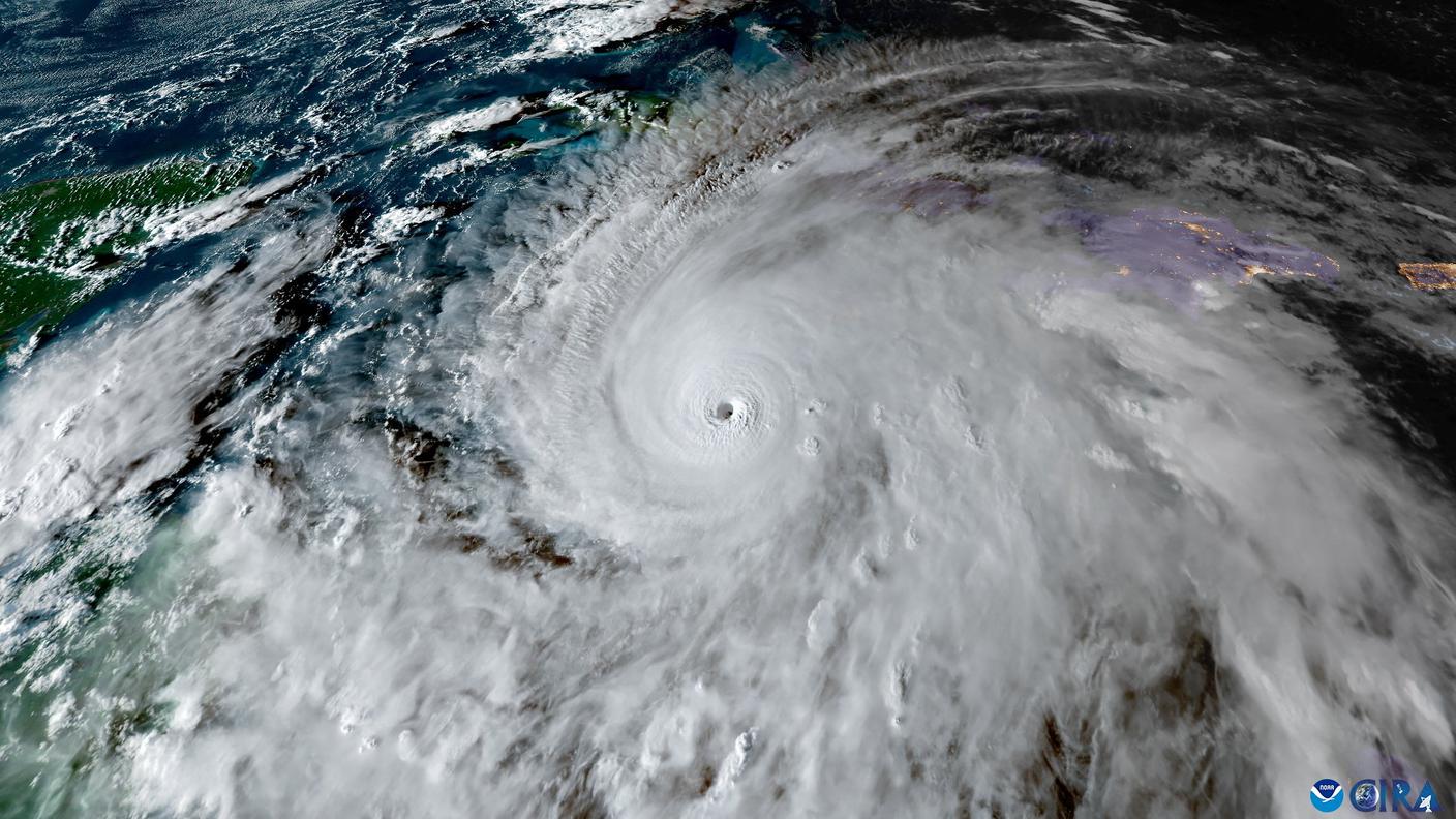
L’uragano Melissa è arrivato sulla Giamaica con la potenza di una tempesta catastrofica di categoria 5, la più forte mai registrata sull’isola caraibica da quando esistono i rilevamenti, cioè da 174 anni.
Secondo l’Organizzazione meteorologica mondiale, Melissa potrebbe avere un “forte impatto” con venti fino a 280 chilometri orari, mentre la Croce Rossa internazionale stima che oltre 1,5 milioni di persone potrebbero essere colpite – un numero che potrebbe aumentare nelle prossime ore.
Evacuazioni a Cuba e allerta massima nei Caraibi
Anche le autorità di Cuba hanno avviato un piano di emergenza per l’evacuazione di oltre 600mila persone, in vista dell’arrivo della tempesta.
Secondo le previsioni, il centro dell’uragano dovrebbe raggiungere la Giamaica tra la tarda mattinata e il primo pomeriggio, ma condizioni da uragano sono già presenti in molte zone dell’isola.
Raffiche di vento superiori a 88 km/h sono state registrate a Kingston e Montego Bay. L’uragano si trova a circa 185 km a ovest-sudovest della capitale e si muove verso nord-nordest a 8 km/h.
Le prime vittime e i danni previsti
Secondo le autorità locali, l’uragano ha già causato tre morti in Giamaica, tre ad Haiti e una nella Repubblica Dominicana.
Le previsioni indicano mareggiate fino a quattro metri, inondazioni e frane catastrofiche. Il primo ministro giamaicano Andrew Holness ha avvertito che “nessuna infrastruttura nella parte occidentale del Paese potrà resistere a una tempesta di questa intensità”, esortando i residenti a lasciare immediatamente le aree costiere.
L’allarme delle organizzazioni internazionali
Da Ginevra, Necephor Mghendi, capo della delegazione della Federazione internazionale della Croce Rossa e Mezzaluna Rossa (Ficr) per i Caraibi, ha parlato di una situazione “gravissima”:
“L’impatto minaccia di interrompere i servizi essenziali, chiudere mercati e scuole, bloccare strade. In generale, l’intera isola sarà colpita”.
Le Nazioni Unite hanno annunciato una mobilitazione immediata per coordinare gli interventi e i soccorsi nella regione.
Starlink in aiuto alle aree isolate
Mentre aeroporti e porti della Giamaica restano chiusi, la rete satellitare Starlink, creata da Elon Musk, sta garantendo connettività stabile alle squadre di emergenza nei Caraibi.
“Il team Starlink sta già collaborando con le autorità locali per sostenere le comunicazioni durante e dopo il disastro”, ha dichiarato Lauren Dreyer, vicepresidente delle operazioni commerciali della società.
I terminali satellitari sono stati attivati anche in Haiti e Repubblica Dominicana, per consentire l’avvio rapido delle operazioni di soccorso e il monitoraggio delle aree più colpite.


















